시술가격
소개
로바에의원
의료진소개
보유장비
진료시간/오시는길
공지사항
시그니처
디자인필러
스캔울쎄라
커스텀써마지
콜라겐 부스터
리프팅
울쎄라피 프라임
써마지 FLX
온다리프팅
프라임레이즈
올리지오
슈링크 유니버스
인모드
울핏
실리프팅
쁘띠 성형
보톡스
필러
레디어스
스컬트라
쥬베룩 볼륨
지방분해주사
스킨부스터
리쥬란
쥬베룩 스킨
엑소좀 ASCE
스킨바이브
엘라비에 리투오
셀르디엠
고우리부스터
레티젠
NCTF 135
릴리이드M
하이쿡스
여드름/흉터/모공
카프리레이저
포텐자
프락셀레이저
브이레이저
색소
색소 프로그램
피코토닝
문신제거
홍조/혈관
AI 피부진단기 이브
마크뷰
기타
제모
수액테라피
메디컬스킨케어
프로모션
전후사진
리프팅
쁘띠성형
스킨부스터
여드름/모공/색소
시술가격
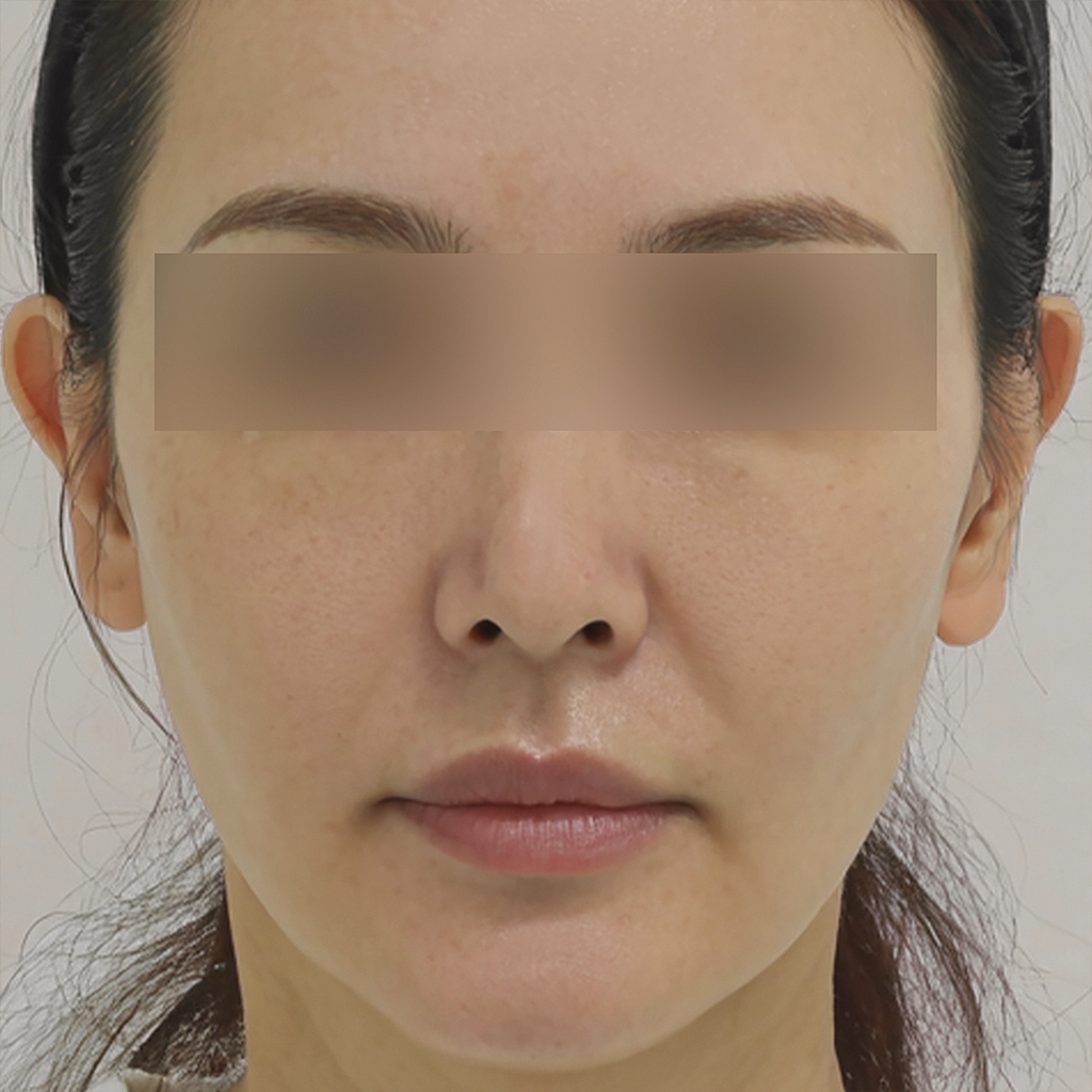
Before
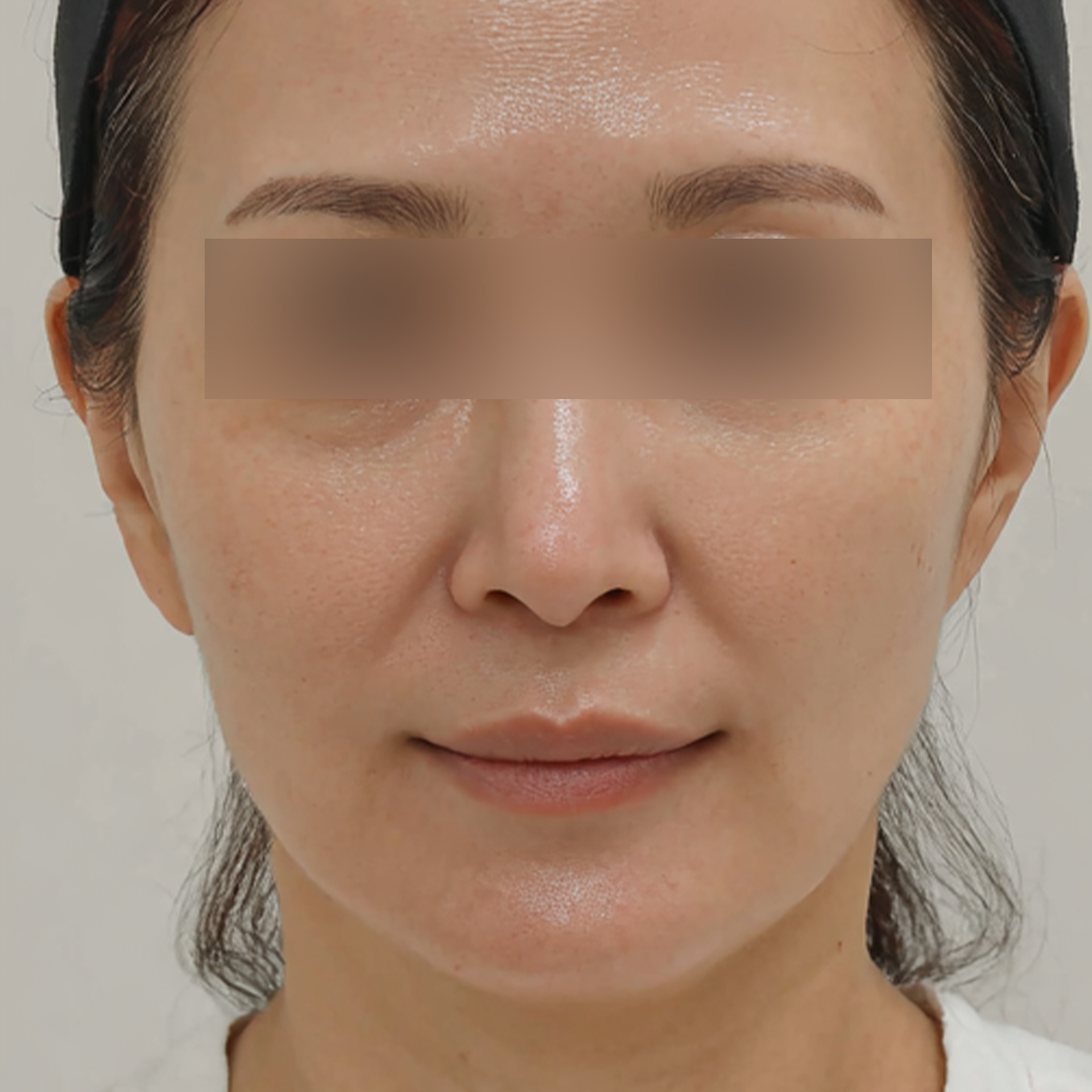
After
Before
After
Before
After
Before
After
Before
After
Before
After
Before
After
Before
After
카톡상담
네이버
인스타
빠른예약
상담/예약